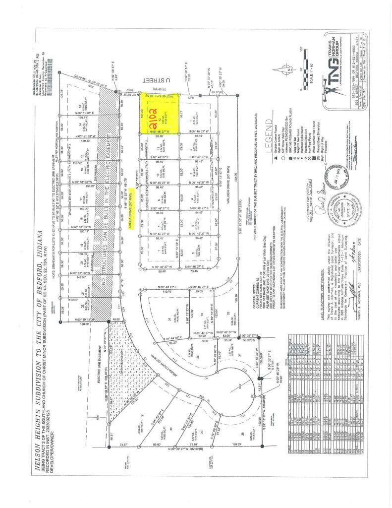
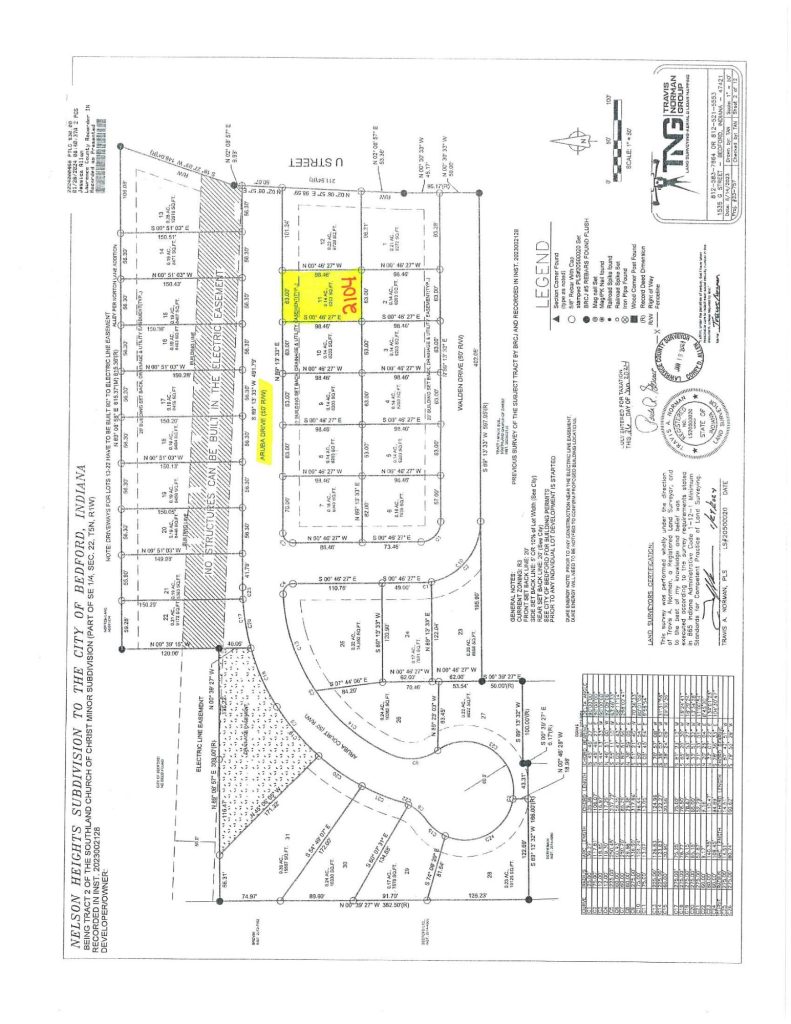
BEDFORD- Two new addresses have been issued in Bedford at the request of Jay Nelson/Starview Homes. The new addresses are:
- 2102 Aruba Drive
- 2104 Aruba Drive
See the maps below for details.
If you have any questions, contact the Department of Planning and Zoning at 812-275-1631 or email kjames@bedford.in.gov.




